土地 JR横浜線 京王相模線 橋本駅 下九沢 建築条件付き
「2025.4.4 JR横浜線 京王相模線 橋本駅 下九沢 建築条件付き」のここがイチオシ。第二種低層住居専用地域です。価格2,580万円でニーズの高い土地です。住みやすい空間の条件の1つに前面道路が6m以上あるところを入れてみては。売地をお探しの方に、こちらの土地はイチオシです。
ローンシミュレーションこの物件を購入した場合の、月々の支払い価格の一例です。借り入れを保証するものではございません。
- 返済期間
-
- 金利
-
- ボーナス時の増額(1回分)
-
- 借入金額:
-
- 頭金:
-

- 毎月の返済額:
(※元利均等方式 金利5.00%まで ※返済年数5~50年まで入力できます)
(※ボーナスは年2回で計算しています。1000万円まで入力できます)
(※物件購入時、その他諸費用が発生する場合がございます)
担当者のコメント 村上 翔一

- 内出公園まで379mです。2,580万円という価格を実現していますので、非常におすすめです。安心の前面道路6m以上の条件を備えております。こちらの売地は、土地の購入を検討されている方にイチオシとなっております。立地する第二種低層住居専用地域のメリットは何といってもその開放的で生活にも困りにくい住環境。
ポイント・特徴
物件概要
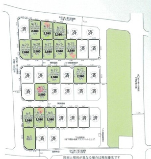
【売地】 物件番号:93612206 情報更新日:2026年01月08日 次回更新予定日:2026年01月22日| 所在地 | 神奈川県相模原市緑区下九沢2866 | ||
|---|---|---|---|
| 交通 | |||
| 価格 | 2,380万円 | ||
| 土地の敷金/保証金 | -/- | 借地料/借地期間 | -/- |
| 土地面積(坪数) | 165.18㎡(49.96坪) | 坪単価 | 47.64万円 |
| 私道負担面積/セットバック | -/無 | 高圧線下面積 | - |
| 傾斜地部分面積 | - | 路地状敷地 | - |
| 土地権利 | 所有権 | 接道状況 | 一方(北 私道 6.0m) |
| 都市計画 | 市街化区域 | 用途地域 | 第二種低層住居専用 |
| 建築条件 | - | 地目/地勢 | 宅地/- |
| 建ぺい率 | 50% | 容積率 | 80% |
| 総区画数 | - | 販売区画数 | - |
| 国土法届出要否 | 不要 | その他の法令上の制限 | - |
| 取引態様 | 一般媒介 | 現況 | - |
| 引渡時期 | 相談 | 引渡条件 | - |
| 最適用途 | - | ||
| 物件番号 | 93612206 | 取引条件の有効期限 | 2026年01月22日 |
| 設備条件 |
|
||
| 備考 | 開放的で明るく快適に過ごすことができる第二種低層住居専用地域で、のびのびと暮らしてみませんか。こちらの土地は前面道路6m以上です。土地購入をお考えの方におすすめなのがこちらの売地。購入価格2,580万円と好条件です。ぜひご検討してみてはいかがでしょうか。 | ||
| 取扱会社 |
|
||
※地図上に表示される物件の位置は付近住所に所在することを表すものであり、実際の物件所在地とは異なる場合がございます。















